Knowing where erosion occurs is vital to mitigating the problem and protecting against future soil loss. Land managers can use Global Mapper and free online data to apply the Universal Soil Loss equation to a site and find where erosion mitigation may be needed.
Environmental researchers and conservationists are continuously monitoring the ecosystems around them and detecting changes. This includes quantifying forest density, predicting flood zones, or tracking forever chemicals. Data needs to be collected and analyzed; Global Mapper Pro offers an all-in one solution for all of your geospatial data needs.

Global Mapper Pro has the tools needed to get the job done

Learn more about using Global Mapper Pro in your workflows
GIS software such as Global Mapper, we have the power to measure high-resolution data across large areas. We can measure changes of the past, such as ground erosion, vegetation growth, urban sprawl, and also map issues of the present, such as how water moves across the terrain.
Tree height is one of the most widely used indicators of an ecosystem's site index, or its ability to grow trees. To penetrate dense canopies, foresters use lidar in Global Mapper to map bare ground elevation values and visualize forest density, crown coverage, and tree heights.
Global Mapper can also explore the physical topography of the land and its boundaries in the form of ridges, watersheds, and ecosystems. Understanding local topography and the watersheds of an area can help provide an insight into possible risks and contaminates to the local water system.
Worldwide, forests are being lost at an alarming rate due to natural disasters and human intervention. It is critical to quantify and analyze these changes. Global Mapper offers tools to explore and analyze the change in an environment over time with respect to forest area growth and loss.
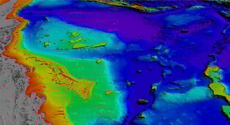
Bathymetric surveys are compiled and transformed into detailed bathytopo models to guide sustainable marine infrastructure, protect vulnerable ecosystems, and support safe navigation and marine management.
Listen to the GeoTalks Podcast
In recent years, scientists have noted that the Texas Hill Country’s Bigtooth maple communities are in danger. Kelsi Schwind highlights how her automated method for extracting canyons has enabled her team to perform thorough research on Texas’s Bigtooth maple communities.
Bathymetric surveys provide vital information that informs decisions about marine environments. In this episode, our guests explored the impact of accessible bathymetric data on marine conservation, social equity, and cultural integrity in Fiji.
Katrina Schweikert joins us to share her work on the Safe Agricultural Products and Water Graph (SAWGraph). This geospatial knowledge graph will be used in efforts to understand and mitigate the PFAS contamination in our agricultural products and waterways.
Dr. Arturo Sanchez-Azofeifa details his team’s research in the Guanacaste Conservation Area at Santa Rosa National Park, Costa Rica. They are creating accurate methods for studying secondary tropical dry forests with lidar technology. Join us to explore the history that established a need for this work and his team's ongoing research.
